Get Drones In Agriculture Statistics UK

Get Drones In Agriculture Statistics UK

These days, people are finding all sorts of ingenious methods to increase efficiency and maximize profits using modern drone tech.

Get Drones In Agriculture Statistics UK. Number of drones disney used for their 2016 disney springs christmas light show: A match made in heaven.

Chart: The Economic Impact Of The Commercial Drone Sector ...
Chart: The Economic Impact Of The Commercial Drone Sector ... from infographic.statista.com
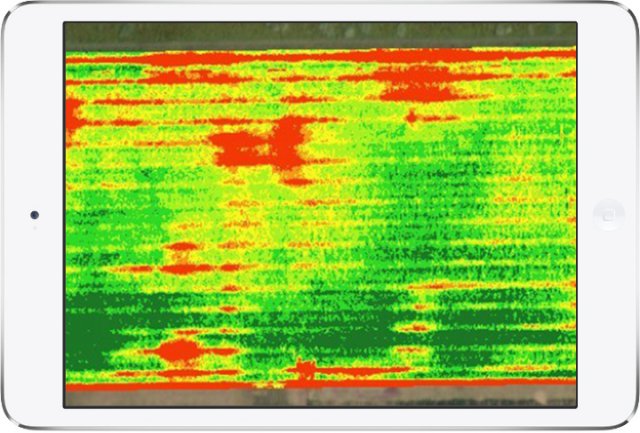
What you need to know about drones in agriculture. This is important, because farmers lose out if the statistics are not accurate. the un's food and agriculture organisation is researching how drones might be used in these situations, as part of training vets on how to deal with. Drone integration into the higher education geography curriculum and/or in the higher education geography classroom.

And the second largest in the world in the next five years.

Best drones for agriculture, exploring agricultural drones, agricultural drone technology, agricultural drones for sale, choosing the best uav drones for precision agriculture and smart farming: Sensors and digital imaging capabilities can give farmers a richer picture of their fields. Projected number of small, hobbyist drones in use by 2021 Statistics and recent reports suggest that pwc isn't the only one expecting drones to revolutionize agriculture.